PROPERTY
物件詳細
土 地
建築条件なし♪ 分筆も可能です
城南町 島田
- 価 格
- 1,500万円
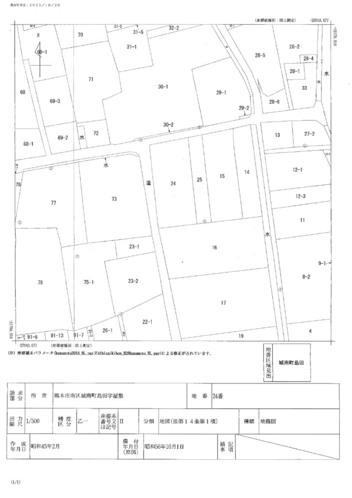
- 所在地
- 熊本市南区城南町島田73
- 交通
- 熊バス「宮の下」バス停 徒歩25分(約1956m)
- 土地面積
- 1,159.52㎡(350.75坪)
- 坪単価
- 4.2万円/坪
担当営業
礒野 勝己
おすすめポイント
建築条件なし♪
分筆も可能です
物件情報 PROPERTY INFOMATION
- 所在地
- 熊本市南区城南町島田73
- 交通
- 熊バス「宮の下」バス停 徒歩25分(約1956m)
- 価格
- 15,000,000円
- 土地面積
- 1,159.52㎡(約350.75坪)
- 坪単価
- 42,766円
- 土地権利
- 所有権
- 地目
- 宅地
- 都市計画
- 市街化調整区域
- 用途地域
- -
- 建ぺい率
- 40%
- 容積率
- 80%
- 接道状況
- 北側:幅員約4.0m公道に約32.4m接道
南側:幅員約4.0m公道に約32.0m接道
- 設備・施設
- 公営上水道前面あり/ 公共下水道前面あり 井戸
個別LPG
- 法令制限
- 集落内開発地域(住宅建築には法43条建築許可要)
- 小学校
- 隈庄小学校 徒歩 28分(約2.200m)
- 中学校
- 城南中学校 徒歩 27分(約2134m)
- 現況
- 宅地
- 引き渡し
- 相談
- 備考
- ※本物件は確定測量(売主負担)後の現況での引渡しとなります。
※本物件の地積が500㎡を超えているため、一部分筆が必要となります(買主負担)。
※分筆の相談可
- 取引態様
- 仲介
- 広告有効期限
- 令和8年4月末日
- 物件番号
- 11571
- 担当者
- 礒野 勝己( TEL:090-8399-3917 )